oferta nr 0207826
470 000 zł119.78 zł / m2
Miejscowość: Kopań
Gmina: Darłowo
Województwo: Zachodniopomorskie
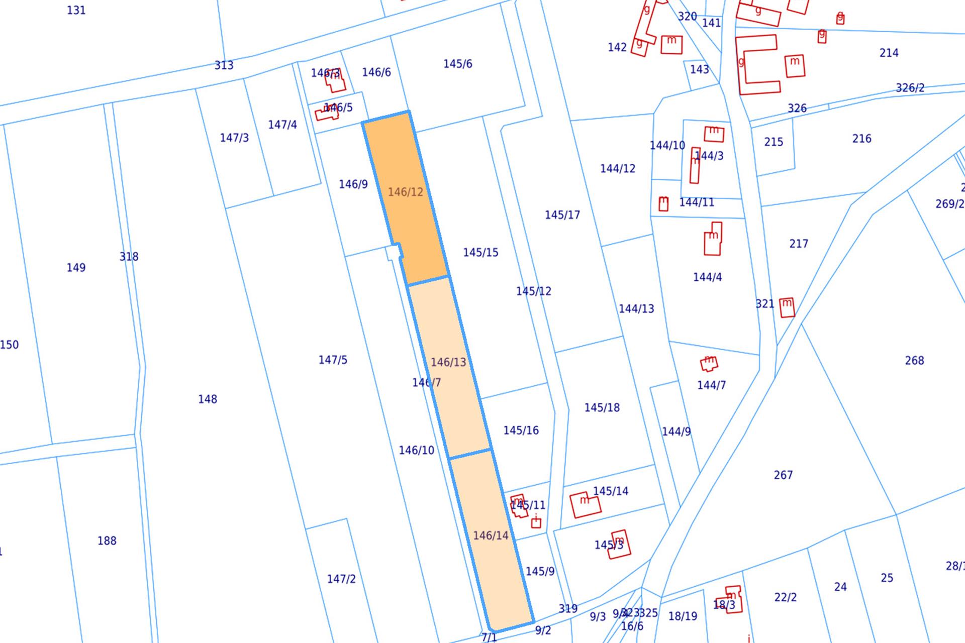
Na sprzedaż działka niezabudowana o pow. 3924 m2, położona w nadmorskiej miejscowości Kopań k. Darłowa, ok. 1,2 km od jeziora.
Malownicza miejscowość wczasowo - letniskowa nad jeziorem Kopań, w odległości ok. 2 km od morza.
Działka w bezpośrednim sąsiedztwie nieruchomości zabudowanych budynkami mieszkalnymi.
W aktualnym planie zagospodarowania przestrzennego działka oznaczona jako tereny rolne.
Kształt działki prostokątny o wymiarach : ok. 33 x 119 m.
Klasyfikacja użytków : Ł IV i R IIIb.
Media: energia i wodociąg - na terenie sąsiednich nieruchomości.
Udział w drodze wewnętrznej dojazdowej - w cenie działki.
Odległość do Darłowa 5 km, do Ustki 38 km.
Możliwość kupna dwóch sąsiednich działek o pow. po 0,3924 ha.
Malownicza miejscowość wczasowo - letniskowa nad jeziorem Kopań, w odległości ok. 2 km od morza.
Działka w bezpośrednim sąsiedztwie nieruchomości zabudowanych budynkami mieszkalnymi.
W aktualnym planie zagospodarowania przestrzennego działka oznaczona jako tereny rolne.
Kształt działki prostokątny o wymiarach : ok. 33 x 119 m.
Klasyfikacja użytków : Ł IV i R IIIb.
Media: energia i wodociąg - na terenie sąsiednich nieruchomości.
Udział w drodze wewnętrznej dojazdowej - w cenie działki.
Odległość do Darłowa 5 km, do Ustki 38 km.
Możliwość kupna dwóch sąsiednich działek o pow. po 0,3924 ha.
